有6824項結果
...
日本
車站
誦經
乘客
殯儀館
廣播
輻射冷卻
北部
東北風
短暫雨
晴朗
中國文化大學
中文系
碩士
陽明山
姜太公道場
獅子座
雙魚座
天秤座
暖男
霸氣
彩券行
刮刮樂
百萬大獎
幸運
黃色小鴨
愛河
高雄
碼頭
南投
郵局
搶劫
縱火
汽油彈
辦公室
國道1號
轎車
胸痛
送醫
尾牙
土地公
刈包
潤餅
發財
Visit Japan Web
過海關
入境日本
QR Code
手搖飲
coco都可
優惠券
星巴克
買一送一
星冰樂
寒流
東北部
下雨
中南部
回溫
春節
高溫
冷氣團
特斯拉
馬斯克
黃仁勳
輝達
火鍋店
美女主播
紅包
吐瓦魯
友邦國
諾魯
斷交
美國務院
外交部
大台北地區
東半部
局部短暫雨
義務役
陸軍
入伍
兵變
情侶
役男
員工
無情雞
炒魷魚
中橫便道
農曆
公路總局
豐原客運
小廢物俱樂部
跳蚤市場
寶物
古代硬幣
中部
雨勢
天氣
公寓
獨居男
孩童
法國
照顧
冷水澡
霸王級寒流
玉山
聖嬰年
2016年
骨灰
巨人
湖南
病逝
綠島
夜遊
大學生
民宿老闆
冷高壓
低溫假
低溫特報
雨彈
回暖
五口命案
債務
塑膠袋
兒子
身亡
觀光署
台鐵列車
西拉雅號
彩繪列車
檳榔汁
網友
熱議
長榮航空
機師工會
罷工
下雪
賞雪
遊客
輪胎行
合歡山
雪鍊
大雨特報
大雪山森林遊樂區
凍蕃薯
雨夾雪
新竹縣尖石鄉
露營
銀白世界
冰霰
打雪仗
2024年
生肖兔
生肖猴
事業
財富
貴人
太平山莊
宜蘭縣
太平山國家森林遊樂區
結霜
低溫
豪大雨
北北基宜
威力彩
財運
2億
中頭獎
財富自由
天蠍座
金牛座
摩羯座
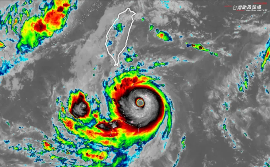
衛星雲圖
雲街
鄭明典
冷平流雲系
降溫
苗栗
火警
工寮
烤雞
飼料
投票
機師
旅行社
空服員
超哥
Toyz
道歉
直播主
網紅
打人
停班課
痛毆
流血衝突
劉偉健Toyz
炸雞店
加盟主
律師
挑釁
監視器
武嶺
追雪族
體感溫度
高山
極寒冷
濕冷天氣
嚴寒
華南雲雨
以色列
巴勒斯坦
哈瑪斯
人質
恐怖份子