有270項結果
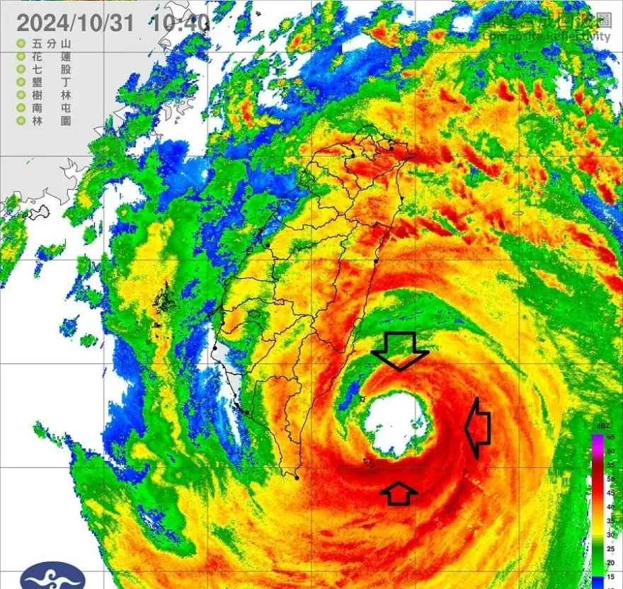
丹娜絲颱風
雷達回波圖
龍捲風
鄭明典
...
外圍雲系
颱風尾
北部
南部
天氣
中央氣象署
台灣颱風論壇|天氣特急
下雨
彰化
暴雨
紫爆
氣象
救災
雨量
冰雹
大雷雨
對流胞發展旺盛
對流雲頂
颱風假
桃園
颱風
張善政
前中央氣象局長
颱風丹娜絲
前象局長
一桃兩制
一市兩制
颱風中心
颱風眼
環流
中颱
開眼
日本向日葵8號衛星
眼牆
中度颱風
眼牆雲系
輕度颱風
水氣
衛星雲圖
愛心
紅外線雲圖
熱島效應
台北
炎熱
夏天
雲
幽浮
台北天文館
熱帶擾動
西北太平洋
風切
冷心低壓
低氣壓
高層冷心低壓
高溫
日本
海水
常態化
海溫
夏至
北回歸線
太陽直射
蝴蝶颱風
觀氣象看天氣
蝴蝶
季風槽
熱帶性低氣壓
林得恩
熱帶氣旋
颱風窩
降雨
鋒面雲帶
渦旋
雷達回波
西南季風
南海
大雨
梅雨
梅雨季
熱帶東風
衛星影像
沙塵暴
大陸
台灣
臭氧
煙霧
紫外線
光化學空氣污染
西半部
臭氧濃度
東南風
活性碳
口罩
鋒面
強降雨
冷高壓
午後雨
東北風
降溫
季風
入梅
太空垃圾
地球
墜落
墜落物
預測
靠近
台東
夜空
光線
火流星
人造衛星
光球
軍事活動
雲層
太平洋高壓
旋轉雲系
跨赤道流
東北季風
變天
中部以北
滾軸雲
夏季
空氣品質差
紅燈
環境部
雷雨
陣雨
不穩定天氣
不穩定帶
對流胞
短延時強降雨
氣象局
熱帶低壓
夏季風
海峽黑水溝
驚蟄
季節性
強對流系統
冷氣團
極地渦旋
北極振盪
冷空氣
低緯度
氣溫
全球暖化
氣候
1月
反聖嬰
元月
距平
低溫特報
寒流
低溫
週末
逆溫層
體感溫度
陰天
吳聖宇