有49項結果
...
大陸
飯圈
全紅嬋
網路霸凌
粉絲
學者
競爭
結構矛盾
永豐銀行
國泰世華銀行
重大訊息
統一
台股
保本收益型結構性存款
中石化
暫停交易
股東
京華廣場
財務結構
鼎越開發
容積移轉
重大訊息記者會
陳穎俊
陳文可
土地資產處分
容積率728%
聯貸銀行
中信金
中國信託商業銀行
美元
香港分行
固定收益型結構型債券
年利率
奇美醫院
主動脈瓣逆流
經心尖TAVI
經導管主動脈瓣膜置換術
心臟衰竭
微創手術
主動脈瓣閉鎖不全
心臟瓣膜置換
結構性心臟病
心血管治療
寒假
作息調整
收假症候群
結構化生活
親子教養
3C使用
生理時鐘
大腦發展
情緒調節
假期安排
開學適應
草屯療養院
職能治療
身心健康
生活習慣
人口
出生率
死亡率
國家統計局
性別結構
統一企業
中國工商銀行
人民幣結構性存款
財務長
投資理財產品
少子化
新生兒
內政部
Dcard
人口危機
人口結構
基隆市
宜蘭外海
結構安全
7.0強震
橋梁檢測
地震
建築
結構
2026大選
藍白合
民眾黨
賴香伶
國民黨
邱淑媞
臉書
高房價
薪水
薪資結構
每月30K
高薪
社會新鮮人
專業技能
乳鐵蛋白
近視
慶應大學
眼軸延長
鞏膜結構
視力保健
中信銀
結構型債券
股權連結債券
固定收益
美元計價
ISIN
營養均衡
豬瘟
蛋白質
營養攝取
飲食結構
土城醫院
營養師
堰塞湖
溢流
馬太鞍溪
水壩
律師林智群
結構鬆軟
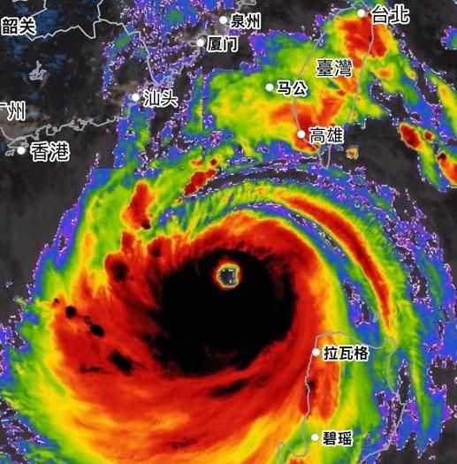
樺加沙颱風
眼牆
結構完美
台南新建大樓
承重柱偏移
施工品質
花園夜市
建案停工
中國
工商銀行
結構性存款
交易總金額
台灣高鐵
裂痕
水痕
高鐵結構
中華路
台北市建管處
台北市結構技師公會
台北市土木技師公會
結構柱受損
花蓮
台北
緬甸強震
戴雲發
泰國
大樓倒塌
建築安全履歷協會
生活中的結構工程
曼谷
清水大樓
塌陷
建商
跑路
建築結構
地主
台積電
護國神山
持有
中經院
副院長
王健全
全球政經周報
中天YT節目
股價
股權
李曉玲
股東結構
台中新光三越爆炸
台中
新光三越
台中市政府都發局
廠商
貨品
取物
顧立雄
兵推
漢光41號
部隊編組
兵力結構
台中市
鑑定
建議
封館
建築師公會
初步判斷
氣爆
安全
建築師
評估
百貨公司
坍塌
楠西區
災民
收容所
民宅倒塌
結構技師
南韓
黃海
主權
暫定措施水域
鋼結構
人造島礁
嘉義縣
大埔
嘉義6.4強震
盧秀燕
黃偉哲
三重民宅倒塌
三重
倒塌
新北市
補強
住戶
工務局
三重區
撤離
預防性撤離
應變中心
土木技師
房屋傾斜
三天三夜
大巨蛋
台北大巨蛋
遠雄
張惠妹
張惠妹演唱會
演唱會
天花板
流產
生育
夫妻
可樂
精子
DNA
碎片化
DNA結構
檢測
搖晃
卓榮泰
健保點值
陳時中
行政院政務委員
公務預算
醫護人員
中央社
健保署
高齡化
生育率
國發會
超高齡化
布丁
日本
統一布丁
家庭結構
富比世
台灣
沈富雄
最富有國家
經濟結構
罷樑
柯文哲
謝國樑
綠色共犯結構
國道警
巡邏車
BMW
驗收
交車
紅斑馬
強化結構
鄭明典
凱米颱風
吳德榮
眼牆結構
增強
天氣
氣象
中颱
經濟部能源署
陳凱凌
光電弊案
太陽光電
電力結構
火災
土城火災
房屋結構
鋰電池爆炸
麥當勞
餘震
歇業