有4842項結果
...
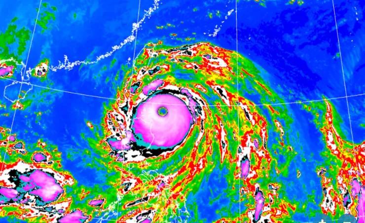
鳳凰颱風
新北市
瑞芳
居民撤離
土石流
積水
瑞芳隧道
氣象署
台灣
登陸
熱帶性低氣壓
風速
新竹市
路樹
倒塌
花蓮
吉安鄉
預防性撤離
居民
村民
撤離
鄭麗文
國民黨主席
AI圖片
鳳凰
地震
永樂里
蘇澳鎮
疏散撤離
土石流警戒
宜蘭縣
永春里
光復鄉
明利村
水利署
花蓮縣
馬太鞍溪
北岸堤防
林萬成
林元鵬
民進黨初選
中常會
陳亭妃
許智傑
林岱樺
邱議瑩
賴瑞隆
林俊憲
蔡易餘
黃榮利
宜蘭
淹水
中央氣象署
停班停課
颱風
徐榛蔚
賴清德
卓榮泰
停班課
氣象預報
台灣天氣
颱風影響
陸上颱風警報
花蓮縣長
毒雞蛋
好市多
COSTCO
品質
防颱
黃偉哲
丹娜絲颱風
台南市
七股
沙洲
澎湖
颱風鳳凰
航班
澎湖機場
取消航班
黑豹旗
三重棒球場
西苑高中
美和高中
台中
天氣預報
中部結界
玉山國家公園
登山
安全措施
豪大雨
清理家園
鉤端螺旋體病
類鼻疽
腸道傳染病
登革熱
豪雨
基隆
基隆港
曳引車
圍牆
台灣大學
噴射機
預報
來襲
瑞港公路
緊急封閉
蔬菜
彰化
疾管署
本土登革熱
病媒蚊
孳生源清除
萬丹鄉
元泰街市場
防蚊措施
登革病毒
NS1快篩
陳世凱
交通部
港務局
擱淺
12海浬
中央災害應變中心
劉世芳
便道
交通管制
交管
預警性封閉
鳳林分局
外圍環流
共伴效應
瑞穗鄉
豐濱鄉
公所
鄉公所
東北季風
太魯閣
坍方落石
公路局
台8線
高雄市
陳其邁
颱風假
風雨預測
漢寶濕地
濕地
意識不清
搶命
急救
彰化縣
芳苑鄉
盧秀燕
台中市長
消防局長
國際花毯節
烤雞
烤雞特攻隊 高屏嘉義店
南部
屏東縣
滿州鄉
原住民
張善政
桃園市長
北北基桃
雪霸國家公園
財政部
普發一萬
屏東獅子鄉
萬榮鄉
金峰鄉
花蓮馬太鞍溪
台9線
網友
陳駿季
芬普尼
雞蛋
農業部
菜價
台南
洪水淹沒
淹沒
大排
警車
馬太鞍溪便橋
洪水
泥流
風城
新竹
戴立綱
輕颱
登陸台灣
暴風圈
強風
祭品文
大氣系
台大
學生會
雞排
珍奶
出海
漁船
漁具
災害防救法
海巡署南部分署
安平區
安平商港安檢所
安平商港
總統
侯友宜
台中市府