有4861項結果
...
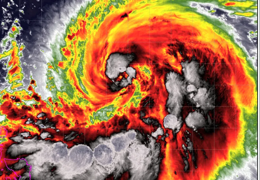
鳳凰颱風
陸上颱風警報
暴風圈
高雄
屏東
恆春半島
中颱
南瑪都
颱風
破紀錄
災情
布洛灣
花蓮
淹水
累積雨量
鄭明典
蔣萬安
郭音蘭
颱風假
氣象署
強風
陸上強風特報
天氣
台中
盧秀燕
鳳凰
桃園機場捷運
行駛
輝達
北士科
北市府
新壽
解約金
李四川
停班課
新北市
侯友宜
桃園
風黃颱風
阿里山林鐵
嘉義
阿里山
停駛
眠月線
阿里山國家森林遊樂區
豪雨預警
颱風路徑
台灣颱風警報
文化大學
中央氣象署
台北市長
咕嚕
臉書
台北市民
陽明山
國道3號
高屏溪
高架路段
最高速限
降速
開車
高公局
高屏溪橋
張善政
桃園市長
南投
山難
郡大山
東埔登山口
台灣
南海
台灣海峽
登陸
強度
強颱風
日本氣象廳
海上颱風警報
陸上警報
馬太鞍溪
豪雨特報
豪雨
外圍環流
東北季風
宜蘭縣
大豪雨
超大豪雨
山區
林保署
大雪山
八仙山
武陵
國家森林遊樂區
墾丁
雙流國家森林遊樂區
休園
步道
預警性封閉
下雨
台9線
馬太鞍溪便橋
臨時便道
南興段
多良段
沿海
新城
預防性撤離
和平派出所
撤離居民
和平村
台20線
向陽路段
初來路段
預警性封路
台東
路基流失
公路局
台北市政府
天氣警訊
澎湖縣
連江縣
11級陣風
小三通
金門
泉州
廈門
旅遊
停航
交通部航港局
海巡署
觀浪
宣導
花蓮光復鄉
光復站
自強號
站票
台鐵
恆春
放水
龍鑾潭水庫
警戒範圍
桃捷
機捷
停班
交通調整
死傷
菲律賓
撤離
海鷗颱風
避難
呂宋島
海警
陸警
颱風警報
蘭嶼
大雷雨
豪大雨特報
宜蘭
基隆北海岸
新北市汐止
台北
普發現金
普發一萬
財政部
銀行
網路登記
釋迦
富岡漁港
採收
蘇花路廊
台灣颱風論壇|天氣特急
氣象粉專
共伴效應
吳聖宇
熱帶性低氣壓
學生
大氣系
雞排
花蓮縣
光復鄉
紅色警戒
馬太鞍堰塞湖
災區
花蓮縣政府
120小時颱風暴風侵襲機率
武陵農場
賴清德
總統
堰塞湖
豪大雨
土石流
停班停課
台北市
北部
中南部
花東
龔明鑫
經濟部長
綠電
天氣風險公司
崩塌
洛鞍
西望洋颱風